For the better part of the last week we have been exploring inside the borders of the Bahamas Land and Sea Park, one of the many protected areas here in the Bahamas. These are no-take zones which means that you can’t fish or take anything out of these areas. As a result, there is an abundance of fish life on great reefs that you can explore. I went snorkeling a few times and had a great time. Because of fishing you rarely see grouper and lobsters in non-protected waters. Here, there are plenty because they are protected. Interestingly, when a grouper gets distressed, they make a loud grunting sound. It’s pretty funny, and loud.
On one dive I saw a nurse shark as well as a more intimidating reef shark that looked like it could easily have made a portion of me into a snack. He wasn’t nearly big enough to big enough to have gulped me down but he certainly could have taken a good chunk had he been so inclined. I have to say that I hitched my breath when I saw him swimming by and looked up to see where my dink was. Not so close… Happily, he continued on and swam slowly away. They say that shark attacks are very rare but somehow that’s not much of a comfort when a shark is 20′ away. I don’t know if he saw me and I certainly wasn’t going to do anything to announce myself.
I took a lot of great photos but am only sending a few as we haven’t had any internet or cell coverage in some time and the only way that I can post is to do so over the SSB radio which is very slow and can’t handle large files. I was stressing the system, I am sure, by sending three photos. Oh well.
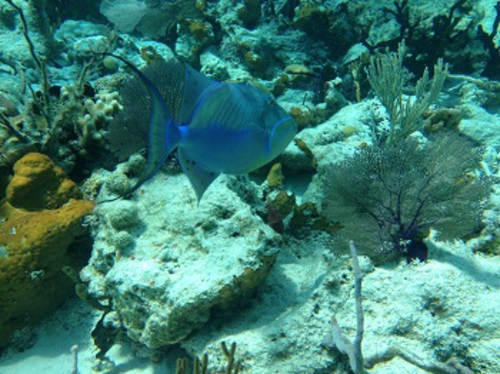
This queen trigger, about a foot long, was just the most elegant creature. She/he didn’t seem to be particularly concerned with my following for a photo. I wonder if there are any King Triggers, and if so, do they mate? Hmm…

I also saw quite a number of lobsters and it was amusing that they “charged” me albeit slowly when I approached them. I guess that they know that they are not going to be broiled any time soon. A park is a good place to live if you want to avoid being seafood. Here fishy, fishy…
On Monday, after a terrific Easter Sunday celebration pot luck at the park warden’s home with perhaps 50 or so other cruisers, we headed over to Shroud Cay, another island in the park but one that is primarily a mangrove swamp. There are channels meandering through the mangroves with water, at least at high tide, that is impossibly clear. The roots of the mangroves make the most amazing sculptural sight. The ariel roots help the plants roots get enough air and help excrete excess salt. These are very tough plants and are critical to keeping islands from washing away in storms. In fact, mangrove swamps are a great spot to tie up a boat to avoid a hurricane as they are very solidly rooted and you can tie up to them and be safe from a storm. They also break waves and keep wind down. Me, I am not planning to test this out any time soon.

At high tide we took our dink into the mangroves and crossed over to the ocean side of the island and enjoyed one of the most beautiful beaches we have seen so far. For two hours we walked from one end to the other. The soft white sand contrasted beautifully with the blue sky and water. It’s hard to believe that we could have such a beautiful beach to ourselves for our entire walk. What a sight.

We have been invited over to a friend’s boat for cocktails tonight, which will be fun. We will have to bring our Conch Horn, a large conch shell with a hole cut in the top. You blow into it, like a trumpet, and it lets out a great sound. Blowing the conch at sunset is a great tradition in these parts. Brenda’s very good at it am learning too. We are looking forward to showing our stuff at the Essex Yacht Club this summer.
On Wednesday we will continue to head north and will probably stop at Highborn Cay, home of one of the best restaurants in the Bahamas. A really good dinner out will be a treat as there aren’t many good spots to eat in the Bahamas and very few in the Exumas. Actually, there are only a few places to eat at all in these parts.
Friday we will have to be sure that we are in a good spot that is very well protected as there is a nasty front coming through that is expected to bring with it very strong thunderstorms. Last night we watched lightening flash to the north for hours just after dark as a particularly strong line of squalls headed by. I understand that some of these squalls packed winds in the 50kt range. I guess that we are due for this as we have only had rain twice since arriving in the Bahamas three months ago.
Wish us luck. I am glad that I have a good anchor and lots of chain. Fingers crossed.


